盘古云曦(盘古云曦售楼处)首页网站-2025盘古云曦房价_楼盘评测丨地址丨详情丨盘古云曦售楼处电话丨 交房时间
搜狐焦点孝感站 2025-11-13 10:34:26
用手机看
扫描到手机,新闻随时看
扫一扫,用手机看文章
更加方便分享给朋友
盘古云曦✅✅售楼处电话:400 - 1010 - 064✅✅
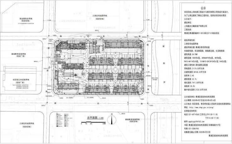
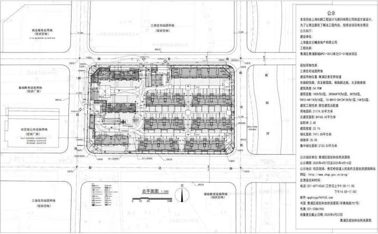
青浦中央商务区上新!【盘古云曦✅✅售楼处电话:400 - 1010 - 064✅✅】将推高层、洋房、叠加,样板间即将开放!
据悉项目这次也是品质感拉起来了,外立面颜值不俗。



项目预计推出建面约120㎡3房、约140㎡洋房以及约150-210㎡叠加,售楼处即将开放,规划设计方案已公示!


项目地块名称:青浦新城QPC1-0012单元57-01地块
地块东至昭悦路;南至新达路;西至新园路;北至翰泰路
项目容积率2.4,未来可期。
去年七批次土拍,该地由盘古拿下,这家房企目前在地块南侧不远还有盘古箐峰项目在售,感兴趣的可以预约了解以作参考。盘古云曦✅✅售楼处电话:400 - 1010 - 064✅✅
声明:本文由入驻焦点开放平台的作者撰写,除焦点官方账号外,观点仅代表作者本人,不代表焦点立场。
