象屿天宸雅颂(象屿天宸雅颂售楼处)首页网站-2025象屿天宸雅颂楼盘评测_象屿天宸雅颂售楼处电话丨房价丨详情丨象屿天宸雅颂地址丨楼盘百科详情
扫描到手机,新闻随时看
扫一扫,用手机看文章
更加方便分享给朋友
前滩南│8号线TOD枢纽旁「🔥象屿天宸雅颂售楼处电话:400-8787-740👈🔥」,建面约89-139㎡3-4房热销中,低密叠墅&宋风联排待加推,看房找我更多优惠!


认购时间:4月21日-4月25日🔥象屿天宸雅颂售楼处电话:400-8787-740👈🔥

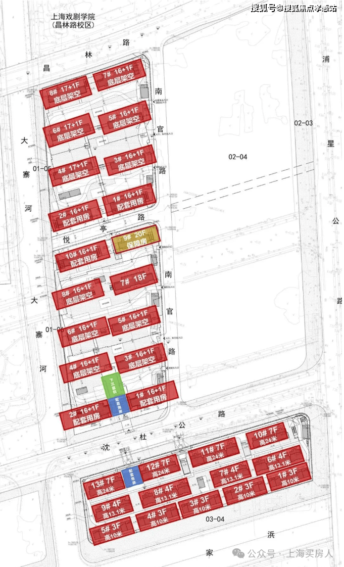
10月25日,上海第六批涉住地块供地中,闵行区MHP0-1316单元01-03、01-02、03-02地块,竞得房企为象屿。
🔥象屿天宸雅颂售楼处电话:400-8787-740👈🔥项目位于闵行浦江镇,东至浦星公路,南至姚家浜,西至大寨河,北至昌林路,距离8号线沈杜公路站步行仅约350-600米左右!
🔥象屿天宸雅颂售楼处电话:400-8787-740👈🔥
项目基础信息:
占地面积: 约69493㎡
地上建筑面积:约14.9万㎡
产品类别:高层、叠加、联排
设计风格:海派+宋式美学
总户数:约1254套(可售约1140套)
容积率:01-02、01-03地块:2.4 / 03-02地块:1.2
绿地率:约35%
装修标准:集采价格不低于3000元/㎡
车位比:01-02、01-03地块约1:1.3 / 03-02地块约1:2
象屿前滩南TOD项目作为新浦江中心首发项目,将主动嵌入到新浦江中心的规划与建设中,打造灵感与森态共栖、快链与漫步一体、烟火与精致并蓄艺术与人文浸润的PARKTOD样板。🔥象屿天宸雅颂售楼处电话:400-8787-740👈🔥

🔥象屿天宸雅颂售楼处电话:400-8787-740👈🔥
01-02地块规划约524套可售住宅,无保障房拟建8栋17-18F高层住宅。以及若干社区配套用房,全部为两梯四户带连廊;地面无车位,全人车分流,规划有风雨连廊以及大量的架空层,预计打造泛会所概念(公共活动空间);
01-03地块规划约466套可售住宅地块拟建9栋17-18F高层住宅、1栋20F保障房以及若干社区配套用房;其中1#为两梯三户带连廊、4#、6#、8#为一梯两户,其余楼栋为两梯四户带连廊;🔥象屿天宸雅颂售楼处电话:400-8787-740👈🔥
03-02地块为别墅产品,其中叠墅约147套,联排约35套该地块拟建4栋7F多层住宅、4栋4F住宅、5栋3F多层住宅以及若干社区配套用房,其中4-7F住宅为叠墅,3F住宅为联排。

🔥象屿天宸雅颂售楼处电话:400-8787-740👈🔥
天宸雅颂以全新产品系敬献上海,承袭象屿高端改善住宅对城市资源、建筑标准、生活配套等多方面的极致考究,集萃严苛择址、艺术雅园、品质精研、塔尖圈层,必将是一场颠覆以往的人居创新!作为象屿封面之作,“天宸雅颂”每一个字,都凝结着其深情倾注。“雅颂”二字源自于《诗经》“风·雅·颂”,汲取中国传统文化的深厚底蕴,传承“华夏之文明,历千载演进,造极于赵宋”的宋代美学,于摩登上海酝酿一场人文气韵的生活雅颂。

🔥象屿天宸雅颂售楼处电话:400-8787-740👈🔥
铝板弧形立面
天空之镜:精致铝板装饰+通透大窗的美学立面设计,打造弧面窄框艺术之镜
流线韵律:弧线同频超流体美学,让建筑流淌出黄浦江的奔腾韵律
🔥象屿天宸雅颂售楼处电话:400-8787-740👈🔥
浮岛美学园林🔥象屿天宸雅颂售楼处电话:400-8787-740👈🔥
一座绿意浮岛围合出一方栖心之处,层层递进的秩序之美,传递生活与归心的仪式感。
林岛漫步:围绕中央景观,以现代艺术手法,打造森林岛屿景观
循水归岸:呼应外部天然水系,内部设置特色水景,串联不同节点
闲庭雅致:以树木、水系与局部连廊体系融合,共同组建起社区与居所之间的联通介质

莫奈花园会所🔥象屿天宸雅颂售楼处电话:400-8787-740👈🔥
集萃品味、艺术、圈层为一体的约2500m莫奈花园会所,随心际遇相逢等高精神。
游心·泳池/律动·健身房/正念·瑜伽室/森活·水吧区 /时宴·私宴厅/思坐·休息区

🔥象屿天宸雅颂售楼处电话:400-8787-740👈🔥
一栋一域聚场
约3000m架空层作为园区中的第二客厅,在室内外交叠过渡的空间中,以自然之景点缀,以生活之悦充盈,营造全龄共享的丰盛聚场。

全景双舱奢宅
比建筑更昂贵的,是窗外无垠的风光,象屿地产户型设计遵循“以人为本的理念,让物理空间更懂生活,让每一方寸皆成为承载家的温情。🔥象屿天宸雅颂售楼处电话:400-8787-740👈🔥
观景双舱:室内两大270°弧面转角,作为为观景双舱,营造多感官沉浸式环景视野
空间平权:L/D/K分域设计,让家人亲密而有界;独立三卧,承载完整起居功能;相互渗透的U型餐厨空间,给居家/聚会带来新鲜体会🔥象屿天宸雅颂售楼处电话:400-8787-740👈🔥
3S墙收纳:部分户型设计3S墙,让收纳隐于无形,设置内嵌式冰箱、隐藏式衣橱等

🔥象屿天宸雅颂售楼处电话:400-8787-740👈🔥
社区配置方面,项目3个地块全部都是人车分流设计,开车归家的业主在社区外就直接进入车库,保证地面行人安全以及安静绿色的居住体验。🔥象屿天宸雅颂售楼处电话:400-8787-740👈🔥
另外,项目用归家风雨连廊巧妙连接着高层核心景观节点和功能空间,让业主能重温“户外风雨连绵,廊下月华如水”的诗意瞬间。🔥象屿天宸雅颂售楼处电话:400-8787-740👈🔥
项目在园林景观方面的打造更是精益求精,结合郊野公园特色做的浮岛美学园林惊艳无比,层层递进的秩序之美,传递生活与归心的仪式感。让业主享受内外皆胜境的生态居住体验!
🔥象屿天宸雅颂售楼处电话:400-8787-740👈🔥

2
据了解,项目包含3种业态,包含建面约89-139㎡3-4房高层,还有建面约144-156平低密叠加和建面约190-210平宋风联排产品。

🔥象屿天宸雅颂售楼处电话:400-8787-740👈🔥
项目预计首开建面约89-139㎡3-4房,尤其值得一提的是,项目户型采用“一生之宅”的理念设计,高层户型均设置可拓展空间,保证不同年龄段都可以进行不同功能调整。分户型来看:
这个建面约89㎡户型妥妥的性价比之选,不到90㎡的建面实现3房一步到位,功能性上符合市场需求。🔥象屿天宸雅颂售楼处电话:400-8787-740👈🔥
同时利用科学的收纳和S墙设计保障了室内空间的井井有条,又通过大量飘窗和阳台等提升尺度感,尤其是厨房带飘窗你见过吗?不夸张的讲,这个建面约107㎡刷新了我对百平三房的新认知。
🔥象屿天宸雅颂售楼处电话:400-8787-740👈🔥
首先是尺度,客厅的面宽被拉长到了约4.7米,呈现了可成长的X空间,适配更长家庭周期;
其次是储藏,3S墙的设计,极大的扩容了家的储物角落,消减了业主生活的繁琐。
最后你数数有几个飘窗?足足5个飘窗,3个卧室2个卫生间全部“扩容”,尤其是主卧、主卫双270°全景飘窗的设计前所未见,未来窗外郊野公园的胜境将一览无余。🔥象屿天宸雅颂售楼处电话:400-8787-740👈🔥
据悉该户型或将申请专利,我认为实至名归!项目建面约128㎡4房同样出彩。
🔥象屿天宸雅颂售楼处电话:400-8787-740👈🔥
延续3S墙和双270°全景双舱亮点的同时,尺度感极大提升,南向四开间,保证了更充沛的阳光。
客餐厅+超大尺度阳台贯穿南北,进门视野无遮挡,大宅气度油然而生!项目建面约139㎡4房则是集大成的终极改善户型。
🔥象屿天宸雅颂售楼处电话:400-8787-740👈🔥
该户型是独立电梯入户,保证了业主的私密性和尊崇感!
不止是四开间朝南,更是大宽厅设计,采光无敌。🔥象屿天宸雅颂售楼处电话:400-8787-740👈🔥
飘窗数量来到了惊人的7个:4个房间、2个卫生间、还有厨房,仅飘窗带来的灵动空间就秒杀同面积段其他产品,要知道这个户型还配备了超大尺度的阳台!项目高层户型硬核,装修更硬核!
🔥象屿天宸雅颂售楼处电话:400-8787-740👈🔥
据销售人员透露,大件方面,项目中央空调/地暖两联供、新风系统一应俱全。
厨房方面,除了灶具、吸油烟机等常规配置,还将加配蒸烤一体机、洗碗机、冰箱和厨房凉霸,全方位提升便捷性和品质感。🔥象屿天宸雅颂售楼处电话:400-8787-740👈🔥
卫生间方面,项目洗脸盆、座便器、淋浴龙头或直接上豪宅专属唯宝品牌(或同等档次品牌)。
从选材、选牌到施工工艺,项目装修每个环节都非常考究,呈现的居住品质足以媲美其他市区千万级豪宅!
另外,项目使用了智能化系统,从社区到单元门和入户整体的无接触归家,单元门自动呼梯到户内装标配置的智能化系统,为业主带来全方位的科技便捷生活!
🔥象屿天宸雅颂售楼处电话:400-8787-740👈🔥

众所周知,市场是公正的试金石,尤其当市场趋于冷静,购房者宁愿不买,也只会等“各维度都更优秀”的板块上新货源。
对于开发商而言,这似乎很残酷。但🔥象屿天宸雅颂售楼处电话:400-8787-740👈🔥对于购房者来说,买房变的无比简单,只要盯紧那些触发积分的板块有没有新供应即可!🔥象屿天宸雅颂售楼处电话:400-8787-740👈🔥
而你知道吗,在触发积分越来越难的当下,闵行8号线贯穿的浦锦板块热度丝毫不减,从2020年至今逢开必火。
2020年入市的保利锦上在没有积分制的年代创下千人摇的盛况;2022年的缦玥入围分超过70分,妥妥的高分盘;2024年的大华星樾3次开盘3次触发积分!
你一定好奇,闵行浦锦板块为何能一路长虹,逢开必火?
我认为8个字足以解释:难以替代,才有未来!🔥象屿天宸雅颂售楼处电话:400-8787-740👈🔥
仅从地理位置和板块规划方面考虑,浦锦同时占据了同价位其他板块难以复制的3大稀缺性,这种不可替代属性让其潜移默化的成为了客户潜意识一致的选择!🔥象屿天宸雅颂售楼处电话:400-8787-740👈🔥
不可复制性①:8号线+南北高架一路串联2大滨江黄金三角,同时占位前滩后花园!
众所周知,项目高端城市资源高度集中在2大滨江黄金三角:由外滩-陆家嘴-北外滩构成的传统中央商务区,由前滩-徐汇滨江-世博构成的新兴中央活动区。其他所有板块几乎都是经由它的价值辐射。换言之,谁距离他们更近通勤更快谁就更有未来!🔥象屿天宸雅颂售楼处电话:400-8787-740👈🔥
而你看全市600-1000万的新房供应板块,几乎都在城市的外围,与2大黄金三角相距甚远,通勤时间也较长。
有且只有浦锦板块,通过8号线和南北高架+浦星公路,同时串联2大黄金三角,通勤效率和未来前景不言而喻!
通过简单对比,人广、陆家嘴、前滩、徐汇滨江的置业者很难不选浦锦,这也是人人都说8号线“挤”,却仍要抢住浦锦的原因内核!🔥象屿天宸雅颂售楼处电话:400-8787-740👈🔥
更重要的,浦锦与前滩几乎是一衣带水的关系,如果说碧云是陆家嘴创造的高端住区,那么浦锦无疑会是第二个陆家嘴——前滩造就的新一代国际住区!🔥象屿天宸雅颂售楼处电话:400-8787-740👈🔥
这种在板块站位上对同价位板块的降维打击,是浦锦火爆的先决条件!不可复制性②一江一河顶层规划中,少有的纯粹的绿色生态居住区!
🔥象屿天宸雅颂售楼处电话:400-8787-740👈🔥
一江一河是上海毋庸置疑的顶层规划,其中黄浦江沿岸更是被誉为世界的会客厅。
同样的,参考上图,能坐拥一江一河顶层规划的600-1000万级新房板块,浦锦又是有且仅有的1个!
而且根据2035一江一河规划,滨江沿岸各个板块都有对应的功能,也就是说产城融合是滨江板块的标准模板。而只有浦锦板块专注于生态居住,再叠加不可复制的滨江资源,宜居属性爆棚。🔥象屿天宸雅颂售楼处电话:400-8787-740👈🔥
整个浦江新市镇的规划总绿地面积约773万㎡,包括1处城市公园、10处地区公园和120余处社区公园,达到社区绿化全覆盖。🔥象屿天宸雅颂售楼处电话:400-8787-740👈🔥
在如此浓烈的绿境之上,在世界舞台滨江沿岸,一个未曾有过的滨江、绿色、生态、纯粹的居住区跃然纸上,相信任何有眼光的置业者都不会错过!不可复制性③接棒东郊的低密高端住区,豪宅底蕴肉眼可见!
🔥象屿天宸雅颂售楼处电话:400-8787-740👈🔥
那种源于这个世界又与这个世界保持距离的世外桃源,这么多年上海也只出现过两个,分别是长宁西郊和浦东东郊。而能接棒东西郊的下一个低密高端住区非浦锦莫属。
我们知道浦锦的定位是绿色生态住区,而在此基础上项目对于容积率的把控是非常低的,低密社区的氛围营造的相当纯粹。🔥象屿天宸雅颂售楼处电话:400-8787-740👈🔥
而且在板块的规划之初,“意大利现代建筑之父”维托里奥·格雷戈蒂率领团队,在这里打造了一个充满意大利风情的小镇。整个板块流淌着生态、低密、宜居的基因。
0🔥象屿天宸雅颂售楼处电话:400-8787-740👈🔥
除了大量洋房业态,也不乏数千万的高端别墅,业主非富即贵,居住圈层非常高!毫不夸张的说,象屿·天宸雅颂几乎凝聚了浦锦板块的所有精华:
🔥象屿天宸雅颂售楼处电话:400-8787-740👈🔥
通勤方面:项目距离8号线沈杜公路直线仅约200米!全市少有的地铁口新房!可6站直达前滩,7站徐汇滨江,9站世博,15站人民广场。除了轨交外,项目旁的浦星公路可以直上南北高架,贯穿中环、外环以及城市中央,自驾上的优势也是十分出众。🔥象屿天宸雅颂售楼处电话:400-8787-740👈🔥
商业方面:项目毗邻8号线TOD商业(规划中),未来家门口纵享繁华!🔥象屿天宸雅颂售楼处电话:400-8787-740👈🔥
除了家门口的沈杜公路大型TOD商业(规划中),浦江城市生活广场、前滩太古里、印象汇、上海浦江欢乐颂等商业中心也在项目的生活半径内。医疗资源方面,项目北侧2-3公里有3家三甲医院资源(仁济医院南院、复旦附属耳鼻喉医院、复旦附属口腔医院)。是外环外少有拥有3家三甲医院的板块!
🔥象屿天宸雅颂售楼处电话:400-8787-740👈🔥
教育方面,项目周边有协和双语尚音学校(待建)、浦江一中、向明中学、上师大附属闵行第三小学、协和海富幼儿园(待建)等优质教育资源。(新房不承诺学区,以政府公示为准)
🔥象屿天宸雅颂售楼处电话:400-8787-740👈🔥
生态方面:项目被浦江郊野公园环抱,推窗即见广袤绿意,随时来一场绿野仙踪!
🔥象屿天宸雅颂售楼处电话:400-8787-740👈🔥
产业方面,项目东面高能产业集聚,极大的夯实了项目的价值底盘!
🔥象屿天宸雅颂售楼处电话:400-8787-740👈🔥
一句话总结项目的地段特点:左瞰公园胜境,家门口地铁商业,右揽高能产业!不得不承认,仅从地段角度出发,象屿·天宸雅颂正是一个没有短板,集聚了浦锦板块所有精华的重磅之作!
声明:本文由入驻焦点开放平台的作者撰写,除焦点官方账号外,观点仅代表作者本人,不代表焦点立场。
