上海象屿天宸雅颂-(2025年象屿天宸雅颂)-象屿天宸雅颂最新房价-象屿天宸雅颂户型-容积率-象屿天宸雅颂小区环境
扫描到手机,新闻随时看
扫一扫,用手机看文章
更加方便分享给朋友
前滩南│8号线TOD枢纽旁「🔥象屿天宸雅颂售楼处电话:400-8787-740👈🔥」,建面约89-139㎡3-4房热销中,低密叠墅&宋风联排待加推,看房找我更多优惠!


认购时间:4月21日-4月25日🔥象屿天宸雅颂售楼处电话:400-8787-740👈🔥

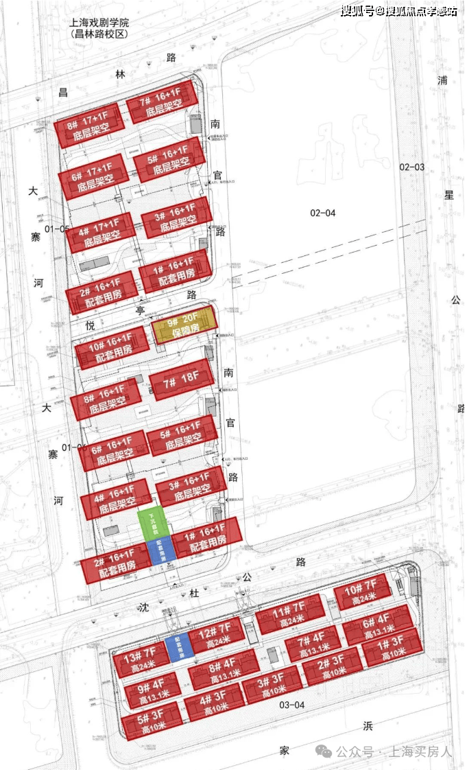
10月25日,上海第六批涉住地块供地中,闵行区MHP0-1316单元01-03、01-02、03-02地块,竞得房企为象屿。
🔥象屿天宸雅颂售楼处电话:400-8787-740👈🔥项目位于闵行浦江镇,东至浦星公路,南至姚家浜,西至大寨河,北至昌林路,距离8号线沈杜公路站步行仅约350-600米左右!
🔥象屿天宸雅颂售楼处电话:400-8787-740👈🔥
项目基础信息:
占地面积: 约69493㎡
地上建筑面积:约14.9万㎡
产品类别:高层、叠加、联排
设计风格:海派+宋式美学
总户数:约1254套(可售约1140套)
容积率:01-02、01-03地块:2.4 / 03-02地块:1.2
绿地率:约35%
装修标准:集采价格不低于3000元/㎡
车位比:01-02、01-03地块约1:1.3 / 03-02地块约1:2
象屿前滩南TOD项目作为新浦江中心首发项目,将主动嵌入到新浦江中心的规划与建设中,打造灵感与森态共栖、快链与漫步一体、烟火与精致并蓄艺术与人文浸润的PARKTOD样板。🔥象屿天宸雅颂售楼处电话:400-8787-740👈🔥

🔥象屿天宸雅颂售楼处电话:400-8787-740👈🔥
01-02地块规划约524套可售住宅,无保障房拟建8栋17-18F高层住宅。以及若干社区配套用房,全部为两梯四户带连廊;地面无车位,全人车分流,规划有风雨连廊以及大量的架空层,预计打造泛会所概念(公共活动空间);
01-03地块规划约466套可售住宅地块拟建9栋17-18F高层住宅、1栋20F保障房以及若干社区配套用房;其中1#为两梯三户带连廊、4#、6#、8#为一梯两户,其余楼栋为两梯四户带连廊;🔥象屿天宸雅颂售楼处电话:400-8787-740👈🔥
03-02地块为别墅产品,其中叠墅约147套,联排约35套该地块拟建4栋7F多层住宅、4栋4F住宅、5栋3F多层住宅以及若干社区配套用房,其中4-7F住宅为叠墅,3F住宅为联排。

🔥象屿天宸雅颂售楼处电话:400-8787-740👈🔥
天宸雅颂以全新产品系敬献上海,承袭象屿高端改善住宅对城市资源、建筑标准、生活配套等多方面的极致考究,集萃严苛择址、艺术雅园、品质精研、塔尖圈层,必将是一场颠覆以往的人居创新!作为象屿封面之作,“天宸雅颂”每一个字,都凝结着其深情倾注。“雅颂”二字源自于《诗经》“风·雅·颂”,汲取中国传统文化的深厚底蕴,传承“华夏之文明,历千载演进,造极于赵宋”的宋代美学,于摩登上海酝酿一场人文气韵的生活雅颂。

🔥象屿天宸雅颂售楼处电话:400-8787-740👈🔥
铝板弧形立面
天空之镜:精致铝板装饰+通透大窗的美学立面设计,打造弧面窄框艺术之镜
流线韵律:弧线同频超流体美学,让建筑流淌出黄浦江的奔腾韵律
🔥象屿天宸雅颂售楼处电话:400-8787-740👈🔥
浮岛美学园林🔥象屿天宸雅颂售楼处电话:400-8787-740👈🔥
一座绿意浮岛围合出一方栖心之处,层层递进的秩序之美,传递生活与归心的仪式感。
林岛漫步:围绕中央景观,以现代艺术手法,打造森林岛屿景观
循水归岸:呼应外部天然水系,内部设置特色水景,串联不同节点
闲庭雅致:以树木、水系与局部连廊体系融合,共同组建起社区与居所之间的联通介质

莫奈花园会所🔥象屿天宸雅颂售楼处电话:400-8787-740👈🔥
集萃品味、艺术、圈层为一体的约2500m莫奈花园会所,随心际遇相逢等高精神。
游心·泳池/律动·健身房/正念·瑜伽室/森活·水吧区 /时宴·私宴厅/思坐·休息区

🔥象屿天宸雅颂售楼处电话:400-8787-740👈🔥
一栋一域聚场
约3000m架空层作为园区中的第二客厅,在室内外交叠过渡的空间中,以自然之景点缀,以生活之悦充盈,营造全龄共享的丰盛聚场。

全景双舱奢宅
比建筑更昂贵的,是窗外无垠的风光,象屿地产户型设计遵循“以人为本的理念,让物理空间更懂生活,让每一方寸皆成为承载家的温情。🔥象屿天宸雅颂售楼处电话:400-8787-740👈🔥
观景双舱:室内两大270°弧面转角,作为为观景双舱,营造多感官沉浸式环景视野
空间平权:L/D/K分域设计,让家人亲密而有界;独立三卧,承载完整起居功能;相互渗透的U型餐厨空间,给居家/聚会带来新鲜体会🔥象屿天宸雅颂售楼处电话:400-8787-740👈🔥
3S墙收纳:部分户型设计3S墙,让收纳隐于无形,设置内嵌式冰箱、隐藏式衣橱等

🔥象屿天宸雅颂售楼处电话:400-8787-740👈🔥
社区配置方面,项目3个地块全部都是人车分流设计,开车归家的业主在社区外就直接进入车库,保证地面行人安全以及安静绿色的居住体验。🔥象屿天宸雅颂售楼处电话:400-8787-740👈🔥
另外,项目用归家风雨连廊巧妙连接着高层核心景观节点和功能空间,让业主能重温“户外风雨连绵,廊下月华如水”的诗意瞬间。🔥象屿天宸雅颂售楼处电话:400-8787-740👈🔥
项目在园林景观方面的打造更是精益求精,结合郊野公园特色做的浮岛美学园林惊艳无比,层层递进的秩序之美,传递生活与归心的仪式感。让业主享受内外皆胜境的生态居住体验!
🔥象屿天宸雅颂售楼处电话:400-8787-740👈🔥

2
据了解,项目包含3种业态,包含建面约89-139㎡3-4房高层,还有建面约144-156平低密叠加和建面约190-210平宋风联排产品。

🔥象屿天宸雅颂售楼处电话:400-8787-740👈🔥
项目预计首开建面约89-139㎡3-4房,尤其值得一提的是,项目户型采用“一生之宅”的理念设计,高层户型均设置可拓展空间,保证不同年龄段都可以进行不同功能调整。分户型来看:
这个建面约89㎡户型妥妥的性价比之选,不到90㎡的建面实现3房一步到位,功能性上符合市场需求。🔥象屿天宸雅颂售楼处电话:400-8787-740👈🔥
同时利用科学的收纳和S墙设计保障了室内空间的井井有条,又通过大量飘窗和阳台等提升尺度感,尤其是厨房带飘窗你见过吗?不夸张的讲,这个建面约107㎡刷新了我对百平三房的新认知。
🔥象屿天宸雅颂售楼处电话:400-8787-740👈🔥
首先是尺度,客厅的面宽被拉长到了约4.7米,呈现了可成长的X空间,适配更长家庭周期;
其次是储藏,3S墙的设计,极大的扩容了家的储物角落,消减了业主生活的繁琐。
最后你数数有几个飘窗?足足5个飘窗,3个卧室2个卫生间全部“扩容”,尤其是主卧、主卫双270°全景飘窗的设计前所未见,未来窗外郊野公园的胜境将一览无余。🔥象屿天宸雅颂售楼处电话:400-8787-740👈🔥
据悉该户型或将申请专利,我认为实至名归!项目建面约128㎡4房同样出彩。
🔥象屿天宸雅颂售楼处电话:400-8787-740👈🔥
延续3S墙和双270°全景双舱亮点的同时,尺度感极大提升,南向四开间,保证了更充沛的阳光。
客餐厅+超大尺度阳台贯穿南北,进门视野无遮挡,大宅气度油然而生!项目建面约139㎡4房则是集大成的终极改善户型。
🔥象屿天宸雅颂售楼处电话:400-8787-740👈🔥
该户型是独立电梯入户,保证了业主的私密性和尊崇感!
不止是四开间朝南,更是大宽厅设计,采光无敌。🔥象屿天宸雅颂售楼处电话:400-8787-740👈🔥
飘窗数量来到了惊人的7个:4个房间、2个卫生间、还有厨房,仅飘窗带来的灵动空间就秒杀同面积段其他产品,要知道这个户型还配备了超大尺度的阳台!项目高层户型硬核,装修更硬核!
🔥象屿天宸雅颂售楼处电话:400-8787-740👈🔥
据销售人员透露,大件方面,项目中央空调/地暖两联供、新风系统一应俱全。
厨房方面,除了灶具、吸油烟机等常规配置,还将加配蒸烤一体机、洗碗机、冰箱和厨房凉霸,全方位提升便捷性和品质感。🔥象屿天宸雅颂售楼处电话:400-8787-740👈🔥
卫生间方面,项目洗脸盆、座便器、淋浴龙头或直接上豪宅专属唯宝品牌(或同等档次品牌)。
从选材、选牌到施工工艺,项目装修每个环节都非常考究,呈现的居住品质足以媲美其他市区千万级豪宅!
另外,项目使用了智能化系统,从社区到单元门和入户整体的无接触归家,单元门自动呼梯到户内装标配置的智能化系统,为业主带来全方位的科技便捷生活!
🔥象屿天宸雅颂售楼处电话:400-8787-740👈🔥

众所周知,市场是公正的试金石,尤其当市场趋于冷静,购房者宁愿不买,也只会等“各维度都更优秀”的板块上新货源。
对于开发商而言,这似乎很残酷。但🔥象屿天宸雅颂售楼处电话:400-8787-740👈🔥对于购房者来说,买房变的无比简单,只要盯紧那些触发积分的板块有没有新供应即可!🔥象屿天宸雅颂售楼处电话:400-8787-740👈🔥
而你知道吗,在触发积分越来越难的当下,闵行8号线贯穿的浦锦板块热度丝毫不减,从2020年至今逢开必火。
2020年入市的保利锦上在没有积分制的年代创下千人摇的盛况;2022年的缦玥入围分超过70分,妥妥的高分盘;2024年的大华星樾3次开盘3次触发积分!
你一定好奇,闵行浦锦板块为何能一路长虹,逢开必火?
我认为8个字足以解释:难以替代,才有未来!🔥象屿天宸雅颂售楼处电话:400-8787-740👈🔥
仅从地理位置和板块规划方面考虑,浦锦同时占据了同价位其他板块难以复制的3大稀缺性,这种不可替代属性让其潜移默化的成为了客户潜意识一致的选择!🔥象屿天宸雅颂售楼处电话:400-8787-740👈🔥
不可复制性①:8号线+南北高架一路串联2大滨江黄金三角,同时占位前滩后花园!
众所周知,项目高端城市资源高度集中在2大滨江黄金三角:由外滩-陆家嘴-北外滩构成的传统中央商务区,由前滩-徐汇滨江-世博构成的新兴中央活动区。其他所有板块几乎都是经由它的价值辐射。换言之,谁距离他们更近通勤更快谁就更有未来!🔥象屿天宸雅颂售楼处电话:400-8787-740👈🔥
而你看全市600-1000万的新房供应板块,几乎都在城市的外围,与2大黄金三角相距甚远,通勤时间也较长。
有且只有浦锦板块,通过8号线和南北高架+浦星公路,同时串联2大黄金三角,通勤效率和未来前景不言而喻!
通过简单对比,人广、陆家嘴、前滩、徐汇滨江的置业者很难不选浦锦,这也是人人都说8号线“挤”,却仍要抢住浦锦的原因内核!🔥象屿天宸雅颂售楼处电话:400-8787-740👈🔥
更重要的,浦锦与前滩几乎是一衣带水的关系,如果说碧云是陆家嘴创造的高端住区,那么浦锦无疑会是第二个陆家嘴——前滩造就的新一代国际住区!🔥象屿天宸雅颂售楼处电话:400-8787-740👈🔥
这种在板块站位上对同价位板块的降维打击,是浦锦火爆的先决条件!不可复制性②一江一河顶层规划中,少有的纯粹的绿色生态居住区!
🔥象屿天宸雅颂售楼处电话:400-8787-740👈🔥
一江一河是上海毋庸置疑的顶层规划,其中黄浦江沿岸更是被誉为世界的会客厅。
同样的,参考上图,能坐拥一江一河顶层规划的600-1000万级新房板块,浦锦又是有且仅有的1个!
而且根据2035一江一河规划,滨江沿岸各个板块都有对应的功能,也就是说产城融合是滨江板块的标准模板。而只有浦锦板块专注于生态居住,再叠加不可复制的滨江资源,宜居属性爆棚。🔥象屿天宸雅颂售楼处电话:400-8787-740👈🔥
整个浦江新市镇的规划总绿地面积约773万㎡,包括1处城市公园、10处地区公园和120余处社区公园,达到社区绿化全覆盖。🔥象屿天宸雅颂售楼处电话:400-8787-740👈🔥
在如此浓烈的绿境之上,在世界舞台滨江沿岸,一个未曾有过的滨江、绿色、生态、纯粹的居住区跃然纸上,相信任何有眼光的置业者都不会错过!不可复制性③接棒东郊的低密高端住区,豪宅底蕴肉眼可见!
🔥象屿天宸雅颂售楼处电话:400-8787-740👈🔥
那种源于这个世界又与这个世界保持距离的世外桃源,这么多年上海也只出现过两个,分别是长宁西郊和浦东东郊。而能接棒东西郊的下一个低密高端住区非浦锦莫属。
我们知道浦锦的定位是绿色生态住区,而在此基础上项目对于容积率的把控是非常低的,低密社区的氛围营造的相当纯粹。🔥象屿天宸雅颂售楼处电话:400-8787-740👈🔥
而且在板块的规划之初,“意大利现代建筑之父”维托里奥·格雷戈蒂率领团队,在这里打造了一个充满意大利风情的小镇。整个板块流淌着生态、低密、宜居的基因。
0🔥象屿天宸雅颂售楼处电话:400-8787-740👈🔥
除了大量洋房业态,也不乏数千万的高端别墅,业主非富即贵,居住圈层非常高!毫不夸张的说,象屿·天宸雅颂几乎凝聚了浦锦板块的所有精华:
🔥象屿天宸雅颂售楼处电话:400-8787-740👈🔥
通勤方面:项目距离8号线沈杜公路直线仅约200米!全市少有的地铁口新房!可6站直达前滩,7站徐汇滨江,9站世博,15站人民广场。除了轨交外,项目旁的浦星公路可以直上南北高架,贯穿中环、外环以及城市中央,自驾上的优势也是十分出众。🔥象屿天宸雅颂售楼处电话:400-8787-740👈🔥
商业方面:项目毗邻8号线TOD商业(规划中),未来家门口纵享繁华!🔥象屿天宸雅颂售楼处电话:400-8787-740👈🔥
除了家门口的沈杜公路大型TOD商业(规划中),浦江城市生活广场、前滩太古里、印象汇、上海浦江欢乐颂等商业中心也在项目的生活半径内。医疗资源方面,项目北侧2-3公里有3家三甲医院资源(仁济医院南院、复旦附属耳鼻喉医院、复旦附属口腔医院)。是外环外少有拥有3家三甲医院的板块!
🔥象屿天宸雅颂售楼处电话:400-8787-740👈🔥
教育方面,项目周边有协和双语尚音学校(待建)、浦江一中、向明中学、上师大附属闵行第三小学、协和海富幼儿园(待建)等优质教育资源。(新房不承诺学区,以政府公示为准)
🔥象屿天宸雅颂售楼处电话:400-8787-740👈🔥
生态方面:项目被浦江郊野公园环抱,推窗即见广袤绿意,随时来一场绿野仙踪!
🔥象屿天宸雅颂售楼处电话:400-8787-740👈🔥
产业方面,项目东面高能产业集聚,极大的夯实了项目的价值底盘!
🔥象屿天宸雅颂售楼处电话:400-8787-740👈🔥
一句话总结项目的地段特点:左瞰公园胜境,家门口地铁商业,右揽高能产业!不得不承认,仅从地段角度出发,象屿·天宸雅颂正是一个没有短板,集聚了浦锦板块所有精华的重磅之作!
声明:本文由入驻焦点开放平台的作者撰写,除焦点官方账号外,观点仅代表作者本人,不代表焦点立场。
