璟云里(售楼处)官方网站-朱家角城投璟云里销售中心(营销中心)-璟云里售楼处电话-户型-价格-开盘时间-楼盘详情-周边配套-2025璟云里得房率
扫描到手机,新闻随时看
扫一扫,用手机看文章
更加方便分享给朋友
❀璟云里官方开发商电话:400-8787-740❄️⛄️
◆开发商营销中心诚挚邀请,一键预约,尊享内部独家折扣!匠心独运的精品项目,恭候您的品鉴与选择。
"Exclusive Invitation from the Developer's Marketing Center – Reserve with One Click to Enjoy Insider Discounts! Meticulously crafted premium projects await your appreciation and selection."
⚡上海官方开发商电话:400-8787-740【☎☎开发商电话已认证】❄️⛄️
⚡上海官方楼处电话:400-8787-740【☎☎售楼处电话已认证】❄️⛄️
⚡上海官方营销中心电话:400-8787-740【☎☎营销中心电话已认证】❄️⛄️
⚡上海官方销售中心电话:400-8787-740【☎☎销售中心电话已认证】❄️⛄️
⚡☞☞Vip贵宾置业==欢迎来电预约尊享内部折扣===匠心钜制恭迎品鉴☜☜
✅本项目暂不接受临时到访,过来参观样板房请记得提前来电预约!⛄️


璟云里售楼处电话☎:400-8787-740【上海青浦璟云里官方唯一预约热线✔】欢迎来电咨询丨〢丨专业一对一热情服务丨丨看房需提前预约
璟云里售楼处电话☎:400-8787-740
【璟雲里 · 规划概况】
· 项目总占地面积:176294.1㎡
· 地上总建筑面积:70235.15㎡
· 绿化率:35%
· 面积段:138-455㎡
· 可售套数:357套
· 车位数量:935个(地下920个,地上15个)
· 装修标准:毛坯
项目位于千年古镇朱家角,毗邻62万方淀山湖,是上海难得的低密湖居住宅!占地约46万方,容积率只有0.41,主打江南院墅!璟云里售楼处电话☎:400-8787-740
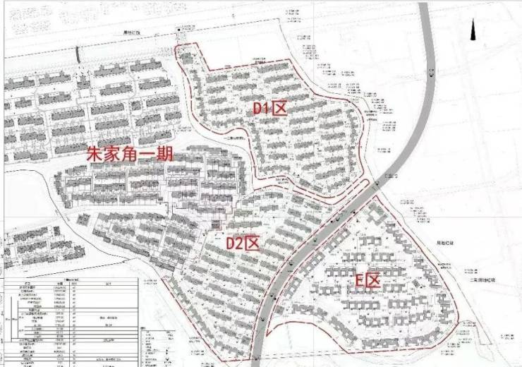
此次即将推出的璟雲里二期,占地17.6万方,以鹏霄路为界,分东西两个地块分期开发建设:
西地块以138-210多平的中小户型联排为主,共277户;
东地块以252-455合院大户型为主,共80户;
本次主推的是西地块D区。
中式风格的产品,一定会让人眼前一亮,比如粉墙黛瓦,飞檐戗角,随处都是亭台轩榭,小桥流水。只要看过,就觉得这个中式做得好纯粹。v
璟云里售楼处电话☎:400-8787-740
社区被淀山湖的活水水系围合,体现着小区的静密、宁静。不同于市面上大多数号称中式新中式的产品,很多只是“部分中式元素的简单植入”,而在璟雲里,开发商是从骨子里对传统文化尊重及复刻,真真正正做到了形神兼具。
从小区入户门口开始的照壁回眸和百万黑松迎宾开始,到中心园林组团,再到归家巷道庭院,精心打造了五重园林景观。
【奢享配套 纵享青浦城市繁华】
随着大量资源的导入,近几年的朱家角发展迅速,兰生复旦、平和双语、圣福朗私立幼儿园等学区资源丰富;复旦大学附属中山医院青浦分院,红房子医院,上海儿童医院青浦分院等医疗配套在旁;青浦万达茂、吾悦广场、怀盛399、东渡悦来城、北极星广场等商业及生活配套一应俱全!
璟云里售楼处电话☎:400-8787-740
【古今交响 尽享大美宜居生态环境】
在大量现代化资源导入的同时,政府同样要求保留朱家角历史文化底蕴及生态环境基础,围绕青西郊野公园、淀山湖水系公园等独特水系资源,打造城市花园,建设成为产、城、人、文相融合的生态宜居的古镇。
【非遗匠筑 中式美学的现代演绎】
“璟雲里”示范区的每一处细节都经过精心雕琢,从复刻留园门窗规制的门窗,到12种花纹精雕细琢的装饰,再到预制回纹脊、坊石垛头的巧妙运用,无不展现出匠人们对传统技艺的坚守与创新。这些精湛的工艺,不仅让建筑充满视觉上的精致美感,更让人深刻感受到那份对品质与美学的匠心追求。
璟云里售楼处电话☎:400-8787-740
上海这么低密度的住宅,总价都是N千万起,这里总价才300万+,绝对是普通人享受湖居住宅的最低门槛!
璟云里售楼处电话☎:400-8787-740
项目以苏州园林为范本,邀请桃花源系团队主笔,非遗“香山帮” 造诣,精雕细琢,打造古典建筑与现代人居完美结合的的理想居所。
【周边配套👇】
交通:纵观上海的黄金中轴17号线+2号线/10号线,可以到全市各地;在建的示范区线可以更高效率直达虹桥枢纽;自驾经淀山湖大道-青湖路直通大虹桥,转接沪青平公路、沪渝高速等,快速通达全市。
商业:已经有非常成熟的商圈——淀山湖地铁站旁的约45万方青浦万达茂+约18.5万方东渡蛙城组成的约63万方繁华商业。
教育:从幼儿园到中小学,学府云集,有朱家角幼儿园、朱家角小学、朱家角高级中学等;
医疗:有复旦大学附属中山医院青浦分院、朱家角人民医院、红房子医院(在建中)。
【户型图解析】
建面约122㎡大平层
建面约128㎡院墅
璟云里售楼处电话☎:400-8787-740
建面约158㎡院墅
璟云里售楼处电话☎:400-8787-740
建面约168㎡院墅
建面约174㎡院墅
璟云里售楼处电话☎:400-8787-740
声明:本文由入驻焦点开放平台的作者撰写,除焦点官方账号外,观点仅代表作者本人,不代表焦点立场。
